JeffSorensen
Refine Search

Nna Fiesta Shores Dr. , Sagle, ID 83860

$200,000
  • Nna Fiesta Shores Dr. , Sagle, ID 83860 Main Photo

10 Total Photos [Click to View All]

New to the Market Active
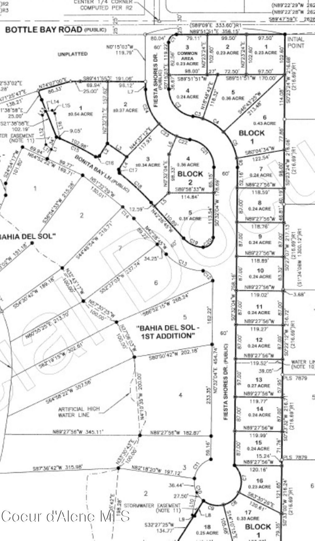
LOT SIZE 0.240 acres MLS#26-3454
STATUS PROPERTY TYPELand - Residential SCHOOLLk Pend Oreille - 84

Property Description

Now offering 9 building lots in a new subdivision just 4 miles from Sandpoint, located in the highly desirable Sagle area. These levelparcels feature paved roads and CCRs in place to help protect property values and ensure quality development. Each lot has power,vyve broadband, water and sewer hookups available and already ran to the property, making them truly ready to build. With southernexposure and a convenient location just minutes from the elementary school, shopping, dining, and all that Sandpoint has to offer, this isan ideal setting for your new home. Lots start at approximately 0.23 acres and are priced beginning at $200,000, with multiple parcelsavailable to choose from. Get in just in time for the building season and secure your spot in this growing community. Water hookup $14,000 and Sewer hookup $18,000

Nna Fiesta Shores Dr. | MLS# 26-3454

This land located at Nna Fiesta Shores Dr. , Sagle, ID 83860 is currently listed for sale with an asking price of $200,000. The property has approximately 0.24 Acres. Nna Fiesta Shores Dr. is located within the Lk Pend Oreille - 84 school district. Search Sagle real estate on jsorensen.cbspokane.com today.

Property Features

Property Type: Land - Residential
Lot Size: 0.24 Acres
Taxes: $200

Feature Descriptions

Lot: Level, Southern Exposure
Road: Paved
Sewer: Community System
Utilities: Available
Water: Community System

Local Schools

School District: Lk Pend Oreille - 84

Listed By / Shown By

Listed By

Agency Name: Lana Kay Realty
Agency Phone: 208-263-9546

Shown By

Agent Name: Jeff Sorensen
Agent Phone: (509) 270-8027
Agency Title: Coldwell Banker Tomlinson

IDX logo

Estimate Your Payment

Estimated Payment

$ 520.11 per month $445.11 Principal & Interest $16.67 Property Tax $58.33 Homeowner's Insurance

Change Payment Information

%
years/fixed
yearly
yearly (est.)
(Payments are an estimate and may vary by lender)
Disclaimer: All information deemed reliable but not guaranteed. All properties are subject to prior sale, change or withdrawal. Neither listing broker(s) or information provider(s) shall be responsible for any typographical errors, misinformation, misprints and shall be held totally harmless. Listing(s) information is provided for consumers personal, non-commercial use and may not be used for any purpose other than to identify prospective properties consumers may be interested in purchasing. Information on this site was last updated 04/14/2026. The listing information on this page last changed on 04/14/2026. The data relating to real estate for sale on this website comes in part from the Internet Data Exchange program of Delta Media Group MLS (last updated Tue 04/14/2026 1:36:07 AM EST) or Coeur dAlene MLS (last updated Mon 04/13/2026 11:47:08 PM EST) or Spokane MLS (last updated Mon 04/13/2026 11:44:16 PM EST). Real estate listings held by brokerage firms other than Coldwell Banker Tomlinson may be marked with the Internet Data Exchange logo and detailed information about those properties will include the name of the listing broker(s) when required by the MLS. All rights reserved.


Privacy Policy / DMCA Notice / ADA Accessibility

Login to My Homefinder

Pixel